Sunrise Estates Tract 3 - Developed Land For Sale
Property Features
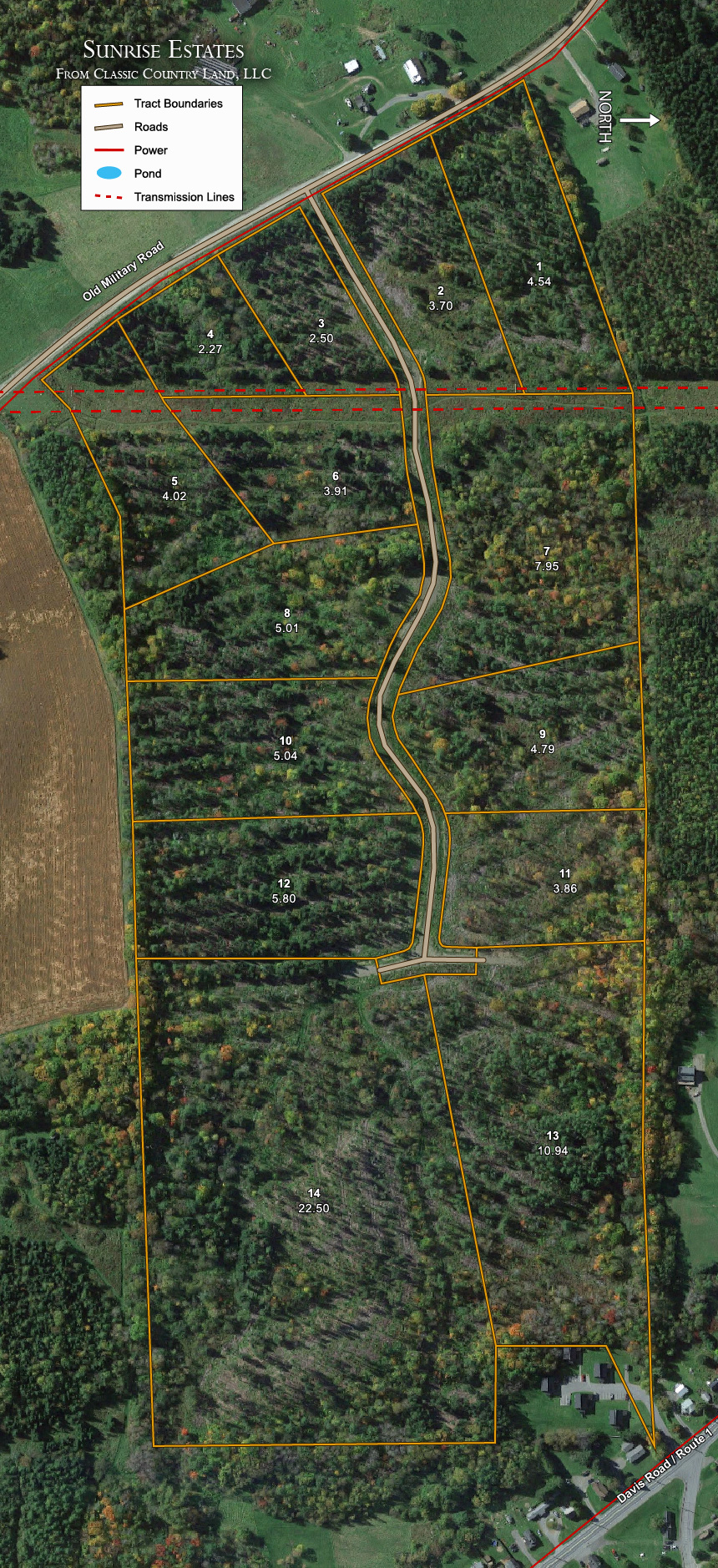
Tract 3 is a great 2.50 +/- acre piece of land located on the western border of Sunrise Estates, giving it great access from the county road. This property consists of beautiful evergreen trees and foliage throughout, with a slight eastward elevation. There is an abundance of wildlife on and around this property which makes it great for the hunting enthusiast as well. Take advantage of this spot to build a permanent home or weekend getaway with everything it has to offer!
Property Video Tour
Property Map
FAQs
Important Documents:
Sunrise Estates Covenants
Sunrise Estates Survey
Sunrise Estates Coordinates
Location & Utilities:
• WHERE IS THE PROPERTY LOCATED?
This scenic property is located in Aroostook County, approximately 13 miles south of Presque Isle and 7 miles north of Bridgewater.
• WHAT IMPROVEMENTS HAVE BEEN MADE?
This property has been professionally surveyed. All corners have been staked and pinned. Unmaintained dirt roads have been established for access to all existing lots. Note: For road maintenance, please see covenants.
• WHAT ABOUT UTILITIES?
The power lines run on a few tracts within the property. Versant Power provides power services in the area, and power can be further extended to the property at the buyer’s expense. You are entitled to drill a domestic well on your property at your own cost. Water is not guaranteed to be available at any specific depths, quantity, or quality. Contact a Licensed Maine Well driller for further information and proposed costs.
• WHAT WILL THE ROAD SURFACE BE LIKE?
Maintained county road frontage to the property entrance and unmaintained dirt roads to existing lots.
Financing:
• WHAT IS THE MINIMUM DOWN PAYMENT AMOUNT TO PURCHASE AND ARE THERE CLOSING COSTS?
A minimum of $199 down payment is required for purchase. Closing costs are currently a nominal $249.00 for us to prepare all of the legal documents required for the contract for deed.
• IF I FINANCE THE PROPERTY, TO WHOM DO I MAKE MY PAYMENTS AND HOW WILL I KNOW I HAVE RECEIVED PROPER CREDIT FOR MY PAYMENTS?
We do not do credit checks and you are instantly qualified to purchase. We have our own in-house financing available. Your payments will be made to Classic Country Land, LLC. You can choose to make your monthly payments online on our Make A Payment portal or sign up for Autopay.
• MAY I USE THE LAND WHILE I’M PAYING FOR IT AND WHEN DO I RECEIVE A DEED TO MY PROPERTY?
Yes, beginning the very day you sign the purchase contract, the land is yours to use and enjoy. You will receive your Warranty Deed once you pay off your property.
• IS THERE A PENALTY FOR PAYING OFF MY LAND EARLY?
There is absolutely no prepayment penalty. Your monthly payment is applied to your account balance using simple interest on the unpaid balance. All extra monthly payments will be applied directly to the principal. All extra payments will directly lower your balance, reducing the overall interest you pay on your purchase.
• DOES A BUYER HAVE TO BUILD A HOUSE WITHIN A CERTAIN TIME FRAME?
A buyer is never obligated to a timeframe to build on their property.
• CAN I RESELL MY PROPERTY IN THE FUTURE AND MAKE A PROFIT?
While there is no guarantee of profit from any land sale, historically land prices have increased in value. We believe there are many reasons for this upward trend, including inflation, population growth, a decreasing land supply, the public’s desire for a more natural environment, the trend toward movement away from urban areas, and the increasing popularity of outdoor recreational activities.
• CAN I MAKE AN OFFER AND WHAT KINDS OF DISCOUNTS ARE AVAILABLE?
Offers are discouraged as the properties are priced for immediate sale under our “No Haggle” pricing policy. Discounts are based on the finance plan that you choose.
• WHY ARE SOME PROPERTIES MORE EXPENSIVE THAN OTHERS?
The properties have been priced according to our “A B C” analysis and consideration of the proximity of the parcels to existing electricity. “A B C” stands for Access, Beauty, and Character. In other words, how good, quick, or easy is the access to the property from the main highway or county road. The beauty of the property mainly pertains to the vegetation and scenery. The character of the property refers mainly to its topography, for example: Is the parcel flat, rolling, steep, etc.
Elevation & Weather:
• WHAT IS THE AVERAGE ELEVATION OF THE PROPERTY?
The average elevation is approximately 607 feet.
• WHAT IS THE AVERAGE TEMPERATURE THROUGHOUT THE YEAR?
| Jan | Feb | Mar | Apr | May | Jun | Jul | Aug | Sep | Oct | Nov | Dec |
| 11° | 15° | 26° | 39° | 52° | 61° | 66° | 64° | 55° | 43° | 32° | 17° |
Zoning & Taxes:
• WHAT IS THE PROPERTY ZONED AND WHAT ARE THE PROPERTY TAXES FOR A PARCEL?
The zoning allows Residential/Recreational. Property taxes on rural, undeveloped land are generally very inexpensive; however, the amount can vary based on location and the value of surrounding properties. Please ask your sales associate if you need a more accurate estimation of a given tract.